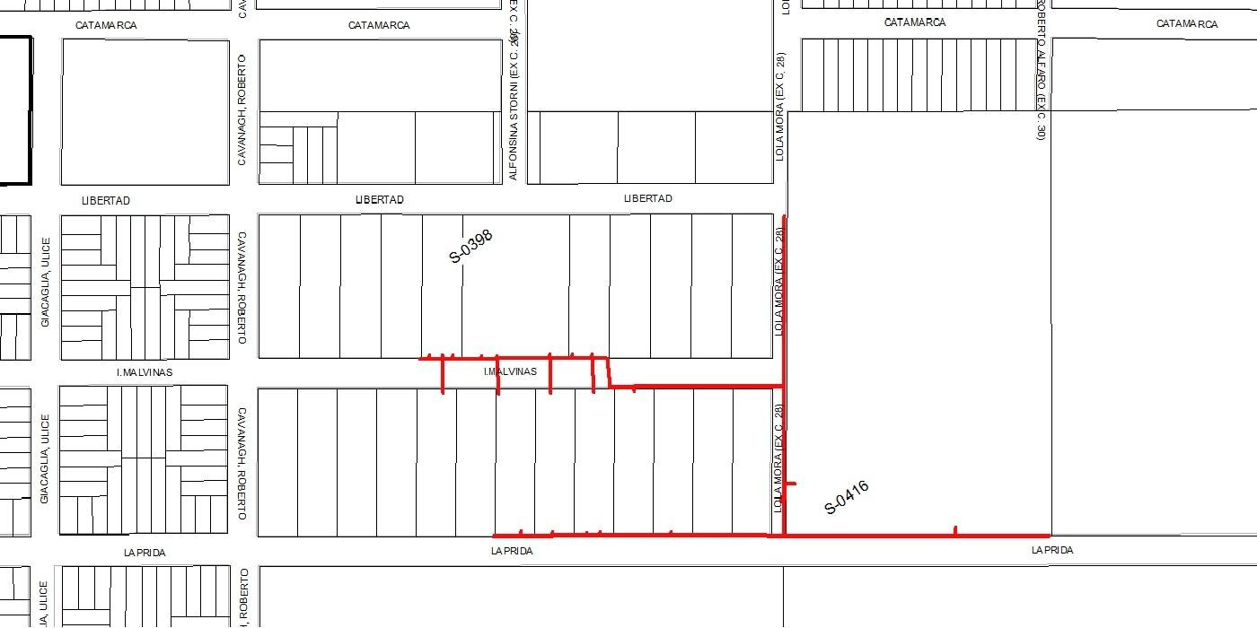
Se trabajará sobre la Red de Baja Tensión. Motivo: Reemplazo de Transformador por ampliación de Potencia. SETA N°416 (Obra Sanitaria) - Laprida y Lola Mora.
En el caso de que se terminen los trabajos antes de lo programado, se restablecerá el servicio (previo al horario señalado).
En caso de lluvias, se suspende hasta futuro aviso.
Se recomienda tomar precauciones necesarias para evitar problemas durante la interrupción del servicio eléctrico.
COOPERATIVA ELÉCTRICA DE VENADO TUERTO – CERCA DE LA GENTE
